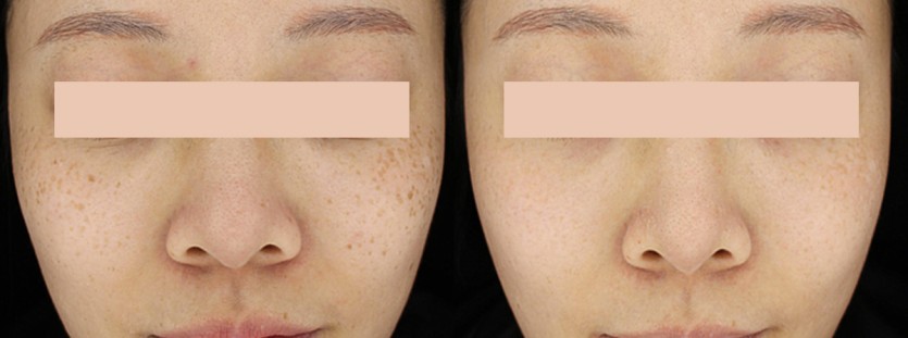
색소치료 피부 미백&주근깨 페이지 정보 목록 본문 전체적인 피부 톤업과주근깨, 잡티 제거좌측 시술 전 : 25.08.27우측 시술 후 : 25.10.13 이전글눈가 주근깨 제거 25.10.14 다음글목주름 필러 25.08.27